REQUEST A TOUR If you would like to see this home without being there in person, select the "Virtual Tour" option and your agent will contact you to discuss available opportunities.
In-PersonVirtual Tour

$ 30,000
Est. payment | /mo
6,098 SqFt
$ 30,000
Est. payment | /mo
6,098 SqFt
Key Details
Property Type Vacant Land
Sub Type Unimproved Land
Listing Status Active
Purchase Type For Sale
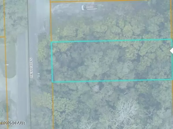
Square Footage 6,098 sqft
Price per Sqft $4
Subdivision Deland
MLS Listing ID 1219564
Lot Size 6,098 Sqft
Lot Dimensions 0.14
Property Sub-Type Unimproved Land
Source Daytona Beach Area Association of REALTORS®
Property Description
Here's your chance to build exactly what you need in one of DeLand's rising commercial pockets. At 50 ft x 130 ft, this parcel is the perfect size for an owner-user, builder, or investor looking for steady returns and strategic location. Don't miss this opportunity, show now!
Location
State FL
County Volusia
Community Deland
Direction From downtown DeLand, head south on Woodland Boulevard (US?17/92), turn right onto S Adelle Ave, and continue straight to the vacant lot on your right
Exterior
Utilities Available Electricity Available, Sewer Available, Water Available
Building
Lot Description Other
Others
Senior Community No
Tax ID 700-02-44-0014
Acceptable Financing Cash
Listing Terms Cash
Listed by Joseph Walter Realty LLC
GET MORE INFORMATION

William Dailey






